Jamaica enfrenta el huracán Melissa, la tormenta más poderosa en 174 años: escala a siete el número de víctimas fatales en el Caribe

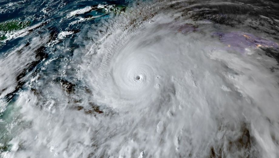
El huracán Melissa se acercaba este martes a Jamaica como una tormenta catastrófica de categoría 5, la más fuerte que ha golpeado la isla caribeña en 174 años de registros. Ante la amenaza del poderoso sistema, las autoridades de Cuba ordenaron la evacuación de más de 600.000 personas.

Redacción

Por Redacción

Se espera que la tormenta toque tierra este martes en Jamaica, ingresando cerca de la parroquia de St. Elizabeth en el sur y saliendo por la parroquia de St. Ann en el norte, según los pronosticadores. Poco después, se prevé que el huracán impacte en Cuba.

Horas antes de la llegada de la tormenta, el gobierno de Jamaica informó haber realizado todos los preparativos posibles, aunque advirtió sobre daños catastróficos.

«No hay infraestructura en la región que pueda soportar una categoría cinco», afirmó el primer ministro, Andrew Holness, quien agregó que «la pregunta ahora es la velocidad de recuperación. Ese es el desafío».

Ya se reportaron deslizamientos de tierra, árboles caídos y numerosos cortes de energía antes del impacto principal de la tormenta. Funcionarios en Jamaica advirtieron que la limpieza y la evaluación de daños serían lentas y complejas.

En la madrugada del martes, el centro de Melissa estaba unos 180 kilómetros al oeste-suroeste de Kingston y unos 465 kilómetros (290 millas) al suroeste de Guantánamo, Cuba. El sistema tenía vientos máximos sostenidos de 280 km/h y se movía hacia el norte-noreste a 8 km/h (5 mph), según el Centro Nacional de Huracanes de Estados Unidos en Miami.


Evacuados en Jamaica: el número de víctimas fatales en el Caribe escala a siete


Se espera una peligrosa marejada ciclónica de hasta 4 metros (13 pies) en el sur de Jamaica. Las autoridades han manifestado preocupación por el impacto en algunos hospitales de la costa.

El ministro de Salud, Christopher Tufton, indicó que algunos pacientes fueron trasladados del primer piso al segundo, con la esperanza de que «eso sea suficiente para cualquier marejada que ocurra».

La tormenta ya ha provocado siete muertes en la región del Caribe. Se registraron tres fallecimientos en Jamaica, tres en Haití y uno en la República Dominicana, donde además se busca a una persona desaparecida.


Se espera que la tormenta toque tierra este martes en Jamaica, ingresando cerca de la parroquia de St. Elizabeth en el sur y saliendo por la parroquia de St. Ann en el norte, según los pronosticadores. Poco después, se prevé que el huracán impacte en Cuba.

Registrate gratis

Disfrutá de nuestros contenidos y entretenimiento

Suscribite por $1500 ¿Ya estás suscripto? Ingresá ahora

Comentarios

Estimados/as lectores de Río Negro estamos trabajando en un módulo de comentarios propio. En breve estará habilitada la opción de comentar en notas nuevamente. Mientras tanto, te dejamos espacio para que puedas hacernos llegar tu comentario.


Gracias y disculpas por las molestias.



Comentar