Cinco Saltos apuesta a la radicación de empresas sobre la «ruta de las arenas» hacia Vaca Muerta
Con un parque industrial ya consolidado y dos más en camino, la localidad del Alto Valle busca atraer más inversores con mayores beneficios y diversificar sus actividades.
A solo 87 kilómetros de Añelo, Cinco Saltos acelera su estrategia para convertirse en un nodo clave del desarrollo industrial hacia Vaca Muerta. La localidad del Alto Valle no solo busca diversificar y ampliar su parque industrial principal, sino que ya proyecta otros dos junto al sector privado: uno sobre la llamada “ruta de las arenas”, en el Bajo Negro, y otro sobre la Ruta 151. Con esta expansión y su reciente adhesión a la ley provincial de promoción industrial, el municipio apunta a atraer más inversiones y potenciar la radicación de empresas con nuevos beneficios.
Uno de los proyectos más ambiciosos impulsados por la municipalidad es el desarrollo de un Parque Industrial de 400 hectáreas en conjunto con privados, sobre la “ruta de las arenas”, específicamente en la zona del Bajo Negro. “La idea es que los titulares de dominio de las tierras se unan para desarrollar un parque industrial y se puedan asentar industrias vinculadas a la actividad petrolera y minera”, explicó Daniel Montero, coordinador de Planificación de Cinco Saltos, en diálogo con Diario RÍO NEGRO.
Las parcelas previstas rondarían las cinco hectáreas y permitirían la instalación de grandes empresas de servicios, operadoras petroleras y mineras, en especial aquellas vinculadas a la producción de bentonita que, actualmente, “se encuentran operando en el lago Pellegrini y necesitan mayor superficie, accesos a otros servicios como la media tensión”, detalló Montero.
Otro de los proyectos en marcha es un parque industrial de carácter privado, ubicado sobre la Ruta 151 a la altura del kilómetro 18. Está orientado a empresas del “tercer anillo” de Vaca Muerta, es decir, aquellas dedicadas a servicios como alquiler de maquinaria vial de gran porte o empresas proveedoras de redes eléctricas para yacimientos, entre otras.

Un parque industrial con una gran diversificación de empresas
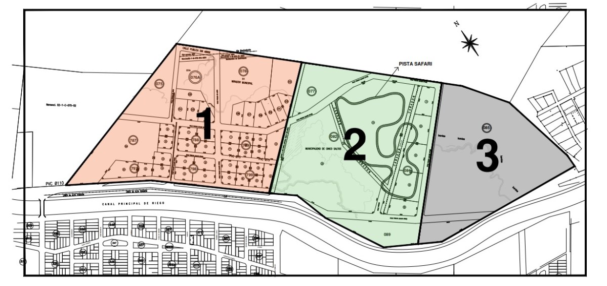
Montero explicó además que actualmente se está trabajando en un plan de tres etapas para el desarrollo del parque industrial principal de la localidad, que ya cuenta con un avance del 40%.
Actualmente, cuatro empresas interesadas presentaron solicitudes para instalarse y se espera que la resolución del Concejo Deliberante: “una fábrica de módulos de oficina para la industria petrolera y mantenimiento de gasoductos, otra es una arenadora y hay una compactadora de vehículos dados de baja”, enumeró.
La primera etapa ya está consolidada y cuenta con una diversidad de actividades que incluyen la producción de cloro, una planta deshidratadora de bentonita, pequeñas mineras, metalúrgicas, empresas de premoldeados, entre otras.
La segunda etapa apunta a un perfil industrial de mayor escala, con empresas vinculadas a la metalmecánica: producción de grúas, hidrogrúas, fundiciones, tornerías y similares. Aunque esta fase ya está desarrollada, sufrió demoras. “Tuvimos algunas dificultades con las concesiones de una pista para autos de carrera, pero logramos un acuerdo para trasladarla a otro sector y sistematizar toda la división del loteo”, aclaró Montero.
Finalmente, la tercera etapa está orientada a lo que se denomina industria “sin chimenea”: software, redes, seguridad, marketing, turismo, entre otras actividades. “Ahora tenemos la instalación de la clasificadora de residuos sólidos urbanos en dos hectáreas de este sector; ya destinamos un área para una planta de separación primaria y después se procesaría”, detalló el secretario de Planificación.

Comentarios
Estimados/as lectores de Río Negro estamos trabajando en un módulo de comentarios propio. En breve estará habilitada la opción de comentar en notas nuevamente. Mientras tanto, te dejamos espacio para que puedas hacernos llegar tu comentario.
Gracias y disculpas por las molestias.
Comentar