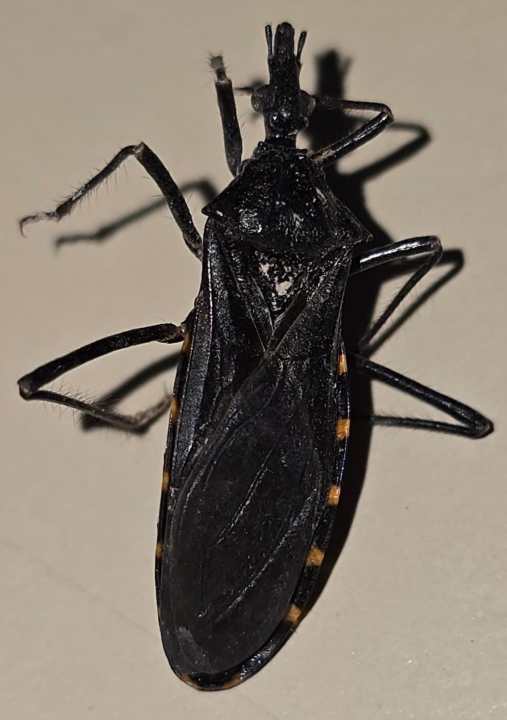
Detectaron vinchucas en el Alto Valle y Valle Medio de Río Negro y se activa el alerta por Chagas
La provincia registra entre 50 a 150 diagnósticos de esta enfermedad al año. Desde el Ministerio de Salud refuerzan la capacitación a los trabajadores de la Atención Primaria de Salud.
Con la suba de la temperatura, comenzaron a aparecer vinchucas -el vector de la enfermedad conocida como Chagas- en el norte y en el centro de Río Negro. La provincia registra entre 50 a 150 diagnósticos de esta enfermedad al año. Por eso, el Departamento de Zoonosis del Ministerio de Salud brindó una capacitación a más de 50 trabajadores de la Atención Primaria de Salud sobre el contexto regional de la enfermedad, la prevención y el control y el abordaje territorial.
En la provincia, la vinchuca prevalece en la zona del Valle debido a la principal actividad económica en las chacras, en los hornos de ladrillo y la cantidad de obreros golondrinas que vienen principalmente del norte del país.
Las autoridades sanitarias piden mantener la vigilancia a través del reporte de ejemplares vivos. Al encontrar esta chinche, recomiendan no tocarla, ni pisarla. Se sugiere agarrarla con un frasco para analizarla en laboratorio.
Qué es el Chagas
El Chagas es una infección causada por un parásito llamado Trypanosoma cruzi que se encuentra en la sangre y en los tejidos de las personas o animales y en el tubo digestivo de unos insectos conocidos como vinchucas o chinche gaucha.
La transmisión a las personas se produce a través de la picadura de la vinchuca que está infectada que, luego de alimentarse de la sangre, defeca sobre la piel de la persona y cuando ésta se rasca introduce los parásitos en la herida. O bien al tocarse los ojos o la boca.

Otra forma de transmisión es a través del embarazo: si una persona gestante tiene Chagas puede transmitírsela al bebé, incluso en el parto. Por eso, las embarazadas deben realizarse un estudio de sangre en el primer control prenatal para detectar la presencia del parásito.
Marcos Arezo, jefe de Departamento de Zoonosis y Vectores del Ministerio de Salud de Río Negro, recalcó que siempre hubo vinchucas silvestres en el monte. De hecho, en Río Negro se conocen tres especies.
«Por un lado, están las vinchucas silvestres que se alimentan del piche (la mulita), la comadreja y perdices; y otras son transportadas por la misma gente entre sus pertenencias y se alimentan del hombre, de los perros, los gatos y las aves. Lo cierto es que viene mucha gente del norte y de países limítrofes y las traen con ellos sin darse cuenta. Tenemos chinches en toda la zona del Valle Medio y Alto Valle: no es lo más común, pero en verano aparecen», comentó Arezo.

Recalcó que las vinchucas adultas tienen alas: «No son grandes voladoras, pero se dejan llevar por el viento. En lugares como Sierra Colorada o Ramos Mexía aparecen vinchucas con el viento y el calor. En Valle Medio llegan de la barda hacia el pueblo».
Y recordó que esta chinche «es hematófaga: chupa la sangre de noche y se resguarda en pequeñas grietas de la pared y del techo donde hace sus nidos. Son difíciles de ver: hay que tener el ojo muy entrenado».
Si bien la especie silvestre no hace cría en el interior de las viviendas, también pueden picar y pueden ser portadoras del parásito en su intestino que provoca el Chagas. «¿Cómo entra al cuerpo? Se alimenta de la persona y transmite el parásito a través de su materia fecal. Al picar, se llena su intestino y defeca. La persona, al rascarse, mete la materia fecal en la sangre y ahí comienza el ciclo», detalló.
Las personas infectadas pueden enfermarse o no. En un principio, no produce síntomas en el 70% de los pacientes. El diagnóstico se puede confirmar con un análisis de sangre de laboratorio. El Chagas es casi 100% curable si se trata en sus etapas iniciales con los medicamentos Benznidazol y Nifurtimox.
«Si no se diagnostica en forma temprana, se puede hacer crónica. El parásito entra por la sangre, se aloja en músculos como el corazón y el colon, en la esfínteres del estómago. Se reproduce ahí y genera patologías cardíacas y del colon. En el 70% pasa desapercibida toda la vida, pero en el 30% puede desencadenar patologías del aparato cardiovascular o digestivo con los años«, planteó.
«También -acotó- se analizan las mujeres embarazadas porque el parásito se transmite por vía congénita. Si el resultado es positivo, cuando da a luz, se hace un seguimiento del recién nacido. El Chagas se puede curar si se trata antes de los 19 años. En estos casos, la efectividad de tratamiento es cercana al 100%».
Arezo resaltó que, con el calor, las vinchucas están apareciendo en la zona del Valle Medio y en el sector de la Línea Sur, comprendido entre la costa y Sierra Colorada. «Con las altas temperaturas, aparecen las del monte aunque también las domiciliarias asociadas a gallineros, palomeros y galpones. Están en todos lados, excepto en la zona andina y este sector de la Línea Sur», dijo.

La vinchuca tiene el tamaño de una moneda y como «es de hábitos nocturnos, se esconde durante el día». «Muchas veces se puede detectar cerca de la cama, en la pared, porque defeca como gotas de agua negra a las que llamamos ‘rastros’. Le pedimos a la gente que las capturen con un frasco y las resguarden del sol. En el laboratorio se extrae la materia fecal y se mide para confirmar si tiene el parásito del Chagas. Luego, se inspecciona la vivienda para detectar que no haya crías y en caso de que haya, Salud Ambiental rocía con insecticidas», puntualizó.
Datos
-El Chagas es una patología endémica en 21 países de las Américas, aunque las migraciones de personas infectadas pueden llevarla a países no endémicos.
-Los parásitos entran en el cuerpo cuando la persona se rasca la picadura instintivamente e introduce las heces del insecto infectado (que contienen miles de T. Cruzi) en la herida de la picadura. Así también pueden introducirse a través de las mucosas de los ojos o la boca.
-La enfermedad de Chagas tiene dos etapas o fases clínicas: una fase aguda y una crónica. Muchas personas (del 70 al 80 % de los infectados) son asintomáticas toda su vida, pero de entre un 20 a un 30 % de los afectados esta enfermedad evoluciona a cuadros crónicos sintomáticos asociados a daño lesional en el corazón, tubo digestivo y/o sistemas nerviosos.
Con la suba de la temperatura, comenzaron a aparecer vinchucas -el vector de la enfermedad conocida como Chagas- en el norte y en el centro de Río Negro. La provincia registra entre 50 a 150 diagnósticos de esta enfermedad al año. Por eso, el Departamento de Zoonosis del Ministerio de Salud brindó una capacitación a más de 50 trabajadores de la Atención Primaria de Salud sobre el contexto regional de la enfermedad, la prevención y el control y el abordaje territorial.
Registrate gratis
Disfrutá de nuestros contenidos y entretenimiento
Suscribite por $1500 ¿Ya estás suscripto? Ingresá ahora
Comentarios