Mundo
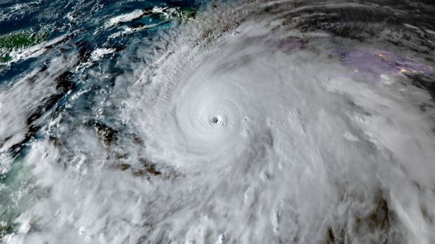
El huracán Melissa se acercaba este martes a Jamaica como una tormenta catastrófica de categoría 5, la más fuerte que ha golpeado la isla caribeña en 174 años de registros. Ante la amenaza del poderoso sistema, las autoridades de Cuba ordenaron la evacuación de más de 600.000 personas.